モルディブクルーズ♪
イルカコース
クルーズの良さを知ったらやめられない!
リゾートダイビングはクルーズで食う・寝る・潜る♪
チェックダイブからマンタがお出迎え~♪
[天気]☀ [気温]30℃ [水温]29℃ [視界]20.30.40m [海況]おだやか・流れあり
DAY1 ①LAKAN REEF ②FISH TANK ③MAAYAFUSHI LAGOON※ナイト
DAY2 ①MAAYA THILA ②FISH HEAD ③OMADHOO THILA
DAY3 ①KUDARAH THILA ②MAAMIGIRI OUT ③LUX OUT
初日から昼も夜もマンタ!!ナンヨウマンタたくさん~♪チェックダイブからいいんですか!?
ホワイトチップ、ナポレオン、マダラトビエイ、タイマイ、パウダーブルーサージョンフィッシュ♪
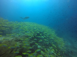
イソマグロ、ホウセキキントキ、ツバメウオ、モルディブアネモネフィッシュ(ハラグロ)などなど~盛沢山!
ムレハタタテダイの群れ!!ウツボも一つの穴にたくさん!キングギドラスタイルで登場~ ヤマタノオロチみたいな場所も♪
マダラエイ、オグロオトメエイなど近い近い、そして大きい!
イルカの群れも登場~♪
終始魚の群れ、海の青さ、船からの絶景に目を奪われ、夢のような時間。
港に戻らず船で完結するダイビングスタイル
ダイビング前後の移動疲れを全く感じません!!
船での食事・お酒・デザートは最高
1度は行こう♪クルーズツアー♪
次回は2月パラオ龍馬号があるよ~!!
[担当]kosuke
[記事] 〃
[写真] 〃
written by にった こうすけ
2026
5
| 月 | 火 | 水 | 木 | 金 | 土 | 日 |
| 1 | 2 | 3 | ||||
| 4 | 5 | 6 | 7 | 8 | 9 | 10 |
| 11 | 12 | 13 | 14 | 15 | 16 | 17 |
| 18 | 19 | 20 | 21 | 22 | 23 | 24 |
| 25 | 26 | 27 | 28 | 29 | 30 | 31 |
関連する記事
新着記事