日帰り!伊豆諸島 大島ツアー♪
最近多い4時発!
2時起き半に家を出て準備。これは朝なのか、夜なのか?
バグりぎみの脳で到着
お店で目を上げトントンスイッチを入れてツアーモード完了!
[天気]☀ [気温]11〜14℃ [水温]19〜20℃ [視界]15m~ [海況]おだやかなポイントへ
1時間程フェリーに乗り到着!早い
限られた滞在時間で長めの1DIVE予定♪
ウミガメポイントにも行けるのか、、
ポイント:王の浜
朝出て、もうこんな遠くで潜っている。車とフェリーのありがたさにしみじみ
潜ると早速コンシボリ!
タテキン、ワモンダコ、メガネゴンベ!
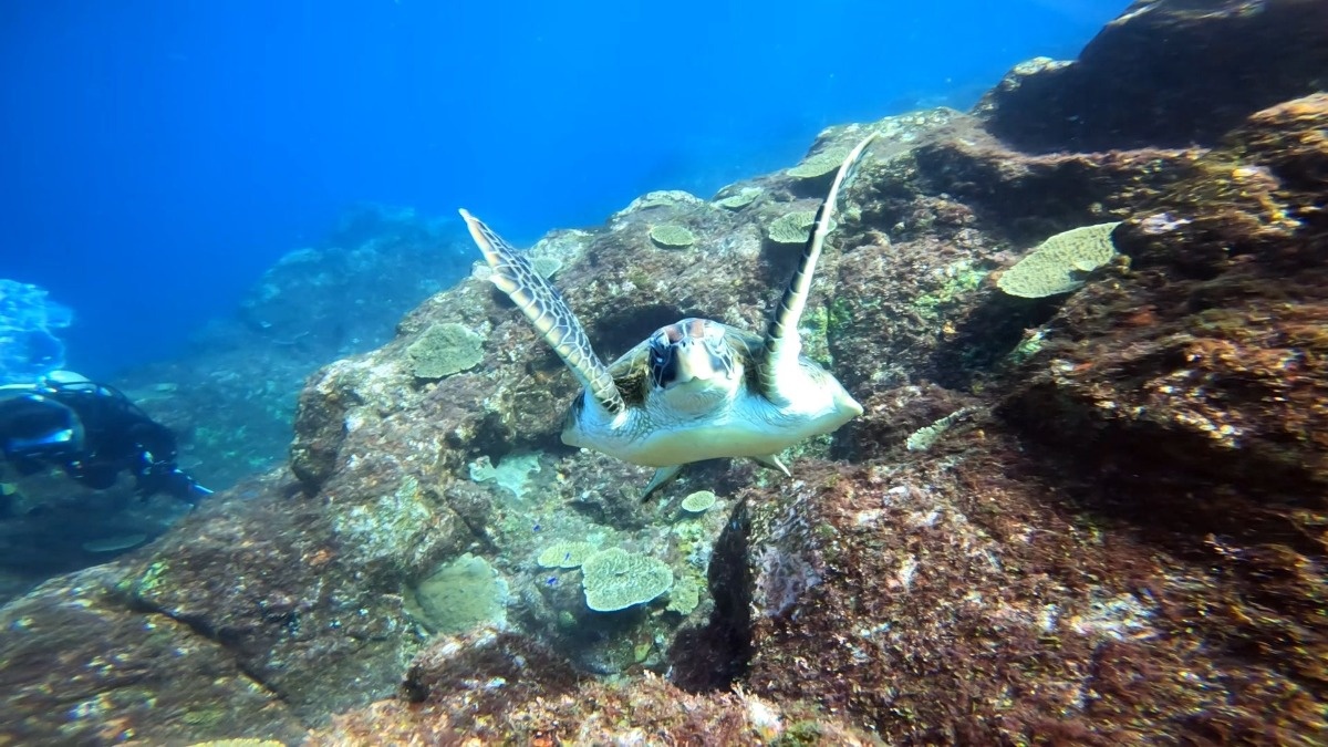
遠くにアオウミガメ♪
近くにも!
休憩中の子も!
毎度、カメよってくるんスよ。
潜った後は
離島で気持ちよく食事できるのがいいですね~
温泉もたくさん♨しかし、長く潜ってましたので温泉は見るだけ~
せかせか潜らずのんびり1本で島を満喫。
こういう潜り方の旅行もいいですよね
大自然を感じれる伊豆大島!
来年は泊りで開催するよ~♪
[担当]kosuke
[記事] 〃
[写真] 〃 ※皆様のお写真お待ちしてます!
written by にった こうすけ
2026
5
| 月 | 火 | 水 | 木 | 金 | 土 | 日 |
| 1 | 2 | 3 | ||||
| 4 | 5 | 6 | 7 | 8 | 9 | 10 |
| 11 | 12 | 13 | 14 | 15 | 16 | 17 |
| 18 | 19 | 20 | 21 | 22 | 23 | 24 |
| 25 | 26 | 27 | 28 | 29 | 30 | 31 |
関連する記事
新着記事